family CERAMBYCIDAE Latreille, 1802
subfamily SPONDYLIDINAE Audinet-Serville, 1832
tribe Nothorhinini Zagaikevich, 1991
genus Nothorhina L. Redtenbacher, 1845
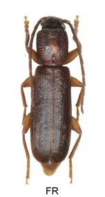
Nothorhina punctata Fabricius, 1798





Velikost 7-13 mm.
Bionomie. Vývoj v kůře starých, osluněných, obvykle volně stojících borovic, někdy i zastíněných v porostu, převážně do výšky 3 m. Napadané borovice jsou většinou staré, často přes sto let. Larvy žerou na rozhraní živé a odumřelé kůry, kuklí se v odumřelé borce. Nalezl jsem i larvy zavalené pryskyřicí. Chodby jsou ucpané jemnou drtí s exkrementy. Výletové otvory mají charakteristický oválný tvar. Při silnějším napadení jsou stromy často nápadné roněním pryskyřice. Při úhynu živného stromu může dojít i k úhynu celé populace. Nalezl jsem na jaře vždy pouze jedno vývojové stadium ke kuklení, proto usuzuji na jednoletý vývoj. Čerepanov (1979) uvádí dvouletý. Přezimuje v larválním stadiu. - Imaga se vyskytují v VI. - VII., maximum v druhé polovině VI. Imaga jsou schována ve štěrbinách borky a často i ve dne kopulují a přebíhají po kůře. Jde převážně o noční druh..
Živné rostliny - U nás zjištěn pouze v Pinus sylvestris, v Bosně na Pinus nigra.
CZ Pinus


